Voetpad onder Viaduct Van Ketwich Verschuurlaan komende week afgesloten

06 apr 2025, 9:15Nieuws
van ketwich verschuurlaan viaduct1
Google Maps
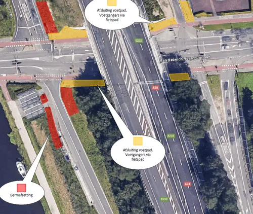
Het voetpad onder het A28-viaduct aan de Van Ketwich Verschuurlaan is van maandag 7 april om 7.00 uur tot en met vrijdag 11 april om 17.00 uur afgesloten. Het pad wordt afgesloten vanwege het aanleggen van kabels bij de nabijgelegen bushaltes.
Voetgangers worden gevraagd om gebruik te maken van het naastgelegen fietspad. Dit betekent dat fietsers en wandelaars samen het fietspad gebruiken. 
(Zie hieronder de afbeelding)
Aanpak Ring Zuid
loading

Loading articles...

Loading